目录
实验平台
硬件:银杏科技GT7000双核心开发板-ARM-STM32H743XIH6,银杏科技iToolXE仿真器
软件:最新版本STM32CubeH7固件库,STM32CubeMX v6.10.0,开发板环境MDK v5.35,串口工具UartAssit
USB_CDC
USB2.0标准下定义了很多子类,有音频类、CDC类、HID、打印、大容量存储类、HUB和智能卡等等。这些在usb.org官网上有具体的定义,这里主要介绍通信类CDC。USB的CDC类是USB通信设备类 (Communication Device Class)的简称。CDC类是USB组织定义的一类专门给各种通信设备(电信通信设备和中速网络通信设备)使用的USB子类。根据CDC类所针对通信设 备的不同,CDC类又被分成以下不同的模型:USB传统纯电话业务(POTS)模型,USB ISDN模型和USB网络模型。其中,USB传统纯电话业务模型,有可分为直接线控制模型(Direct Line Control Model)、抽象控制模型(Abstract Control Model)和USB电话模型(USB Telephone Model)。
如下图所示,USB CDC类的通信部分主要包含三部分:枚举过程、虚拟串口操作和数据通信。其中虚拟串口操作部分并不一定强制需要,因为若跳过这些虚拟串口的操作,实际上USB依然是可以通信的,这也就是为什么下图中,在操作虚拟串口之前会有两条数据通信的数据。之所以会有虚拟串口操作,主要是我们通常使用PC作为Host端,在PC端使用一个串口工具来与其进行通信,PC端的对应驱动将其虚拟成一个普通串口,这样一来,可以方便PC端软件通过操作串口的方式来与其进行通信,但实际上,Host端与Device端物理上是通过USB总线来进行通信的,与串口没有关系,这一虚拟化过程,起决定性作用的是对应驱动,包含如何将每一条具体的虚拟串口操作对应到实际上的USB操作。需要注意的是,Host端与Device端的USB通信速率并不受所谓的串口波特率影响,它就是标准的USB2.0全速(12Mbps)速度,实际速率取决于总线的实际使用率、驱动访问USB外设有效速率(两边)以及外部环境对通信本身造成的干扰率等因素组成。

USB_CDC软件框架

如上图所示,黄色USB Device Core部分为USB设备库文件,属于中间件,它为USB协议栈的核心源文件,一般不需要修改:
- USB Device Core中,Log/debug为打印/调试开关;
- core为USB设备核心;
- USB request中定义了枚举过程中各种标准请求的处理;
- I/O request为底层针对USB通信接口的封装。
黄色USB Device Class部分为USB类文件,也属于中间件,USB设备库,目前ST DEMO中支持的类有HID, Customer HID, CDC, MSC, DFU, Audio, ST提供了这些类的源码框架,其他的Class或者是复合设备需要自己根据实际需求情况进行扩展或定制。如果用户需求只是需要一个标准类,比如CDC通信,那么最好就使用现成的代码,不需要做任何修改就可以实现这个CDC类通信的功能。
蓝色USB Device HAL Driver为HAL库部分,是对USB外设接口的封装,属于底层驱动,不需要修改,它分为PCD和LL Driver,PCD处于LL Driver之上。
红色USB Device Configuration为USB配置封装,位于USB底层HAL层驱动与中间件USB协议栈之间,一方面向上层(USB设备库)提供各种操作调用接口,另一方面,向底层USB驱动提供各种回调接口。正是由于它的存在,使得USB协议栈(USB设备库)与底层硬件完全分离,从而使USB设备库具有更加兼容所有STM32的通用性。USB Device Configuration为开放给用户的源文件,用户可以根据自己的某些特殊需要进行修改,也可以使用默认的源文件,假如没有任何特殊要求的话,我们使用默认即可。
Application为应用层,USB Device Class有可能将自己对应该的操作接口封装在一个操作数据结构中,由应用来具体实现这些操作,在系统初始化时,由应用将已经定义好的操作接口注册到对应的USB类中,比如usbd_cdc_if,就这样,使得应用层的应用代码与属于中间件层的USB协议栈分离。同时,USB协议栈会将一些字符串描述符放到APP中,当USB初始化时将这些已经定义好的字符串通过指针初始化到USB协议栈中,以便后续需要时获取。
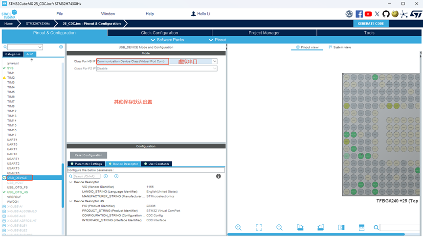
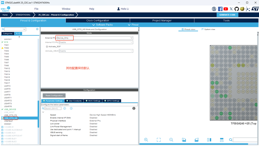
STM32CubeMX生成工程
我们参考前面章节STM32H743-结合CubeMX新建HAL库MDK工程,打开CubeMX软件,重复步骤不再展示,我们来看配置USB部分如下图所示:


原理图
本章实验通过调用STM32的HAL库来实现STM32的USB 设备通信,由于STM32芯片不带高速PHY,在这里我们用STM32H743XIH6和CH132连接的方式来实现数据的高速传输,通过编写的测试软件测试出传输速度。原理图如下:

实验代码
1. 主函数
cpp
int main(void)
{
MPU_Config();
HAL_Init();
SystemClock_Config();
MX_GPIO_Init();
MX_USB_DEVICE_Init();
while (1)
{
//间隔延时
HAL_Delay(1);
if(myUsbRxNum)
{
static char myStr[100]={0};
sprintf(myStr,"\r\r收到%d个字节:\r内容是:%s\r\r",myUsbRxNum,(char*)myUsbRxData);
CDC_Transmit_HS((uint8_t *)myStr,strlen(myStr));
myUsbRxNum=0;
}
//每500ms 发送一次测试数据
static uint16_t sendTime=0;
if(++sendTime>=500)
{
sendTime=0;
CDC_Transmit_HS((uint8_t *)"test1\r",6);
HAL_Delay(1);//等待包完全发送
CDC_Transmit_HS((uint8_t *)"你好\r",5);
}
}
}
2. 回调函数
cpp
static int8_t CDC_Receive_HS(uint8_t* Buf, uint32_t *Len)
{
memset(myUsbRxData, 0, 64); // 清0缓存区
memcpy(myUsbRxData, Buf, *Len); // 把接收到的数据,复制到自己的缓存区中
myUsbRxNum = *Len; // 复制字节数
memset(Buf, 0, 64); // 处理完数据,清0接收缓存;
USBD_CDC_SetRxBuffer(&hUsbDeviceHS, &Buf[0]);
USBD_CDC_ReceivePacket(&hUsbDeviceHS);
return (USBD_OK);
}
实验现象
使用USB数据线连接GT7000的USB_Hs接口与PC端,运行程序,串口中不断接收到test1和你好,当向串口发送数据时,能正确显示数据和字节。
